WASSP Ltd has released its second product for 2016 - and the fifth in three years - the WideScan Sounder F3.
The F3 Widescan Sounder is the latest addition targeting the coastal fishing market. With the success of WASSP sales in the higher end commercial fishing fleet, the company recognised the need for a more cost effective and compact solution for the coastal fishing fleet.
“We will continue to sell the feature-rich and proven WMB3230 (160 kHz) and WMB5230 (80 kHz) over the coming years while we develop new market opportunities with new F3 Widescan Sounder CHIRP technology”, said managing director Gareth Hodson.
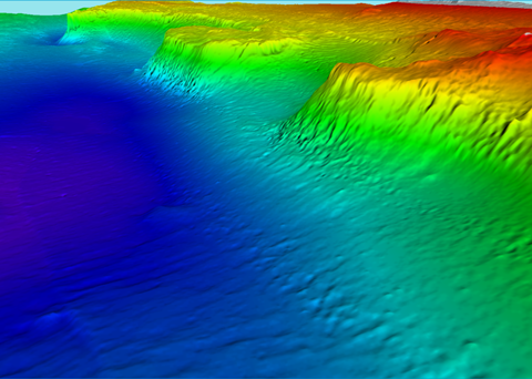
At the heart of the system is the innovative DRX hardware, a fully scalable platform with the technology embedded in the fully enclosed and ruggedized black box that is suitable for the harsh marine environment commonly associated with smaller coastal fishing vessels.
Developed using the latest wideband CHIRP signal processing technology, integrated with technology advances in the DRX hardware platform, ensures future technology capability.
WASSP Ltd says it has spent countless hours with customers understanding their operational needs and requirement for simplified user interface, the new CDX user interface with touch screen capability is testament to customer engagement.
“Over the past four years we have invested heavily in R&D recognising we needed a completely new software and hardware platform to enable us to grow our product offering in all fishing markets, we have built a world class team of experienced, passionate and talented engineers that should be very proud of the latest WASSP product release” said Mr Hodson.
